
來源:香港商報網 原創
2022-03-10 16:04
贊助商連結

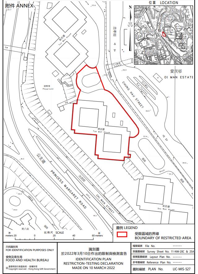
政府今日(10日)下午3時半起圍封何文田愛民邨德民樓進行強檢,目標在明日(11日)下午約1時完成此行動。視乎檢測結果,行動或會延長。
政府發言人表示:「根據第599J章,政府可按防疫需要,作出限制與檢測宣告。由於上述大廈排放的污水樣本對新冠病毒檢查呈陽性,懷疑在大廈內有隱形患者,經評估後相關區域感染風險有機會較高,政府決定就相關區域作出限制與檢測宣告。」
政府已經於「受限區域」內設立臨時採樣站,並要求受檢人士於今日晚上九時前接受檢測。受檢人士會獲安排到採樣站接受核酸測試,由專人以咽喉和鼻腔合併拭子採樣。在所有人士有檢測結果前,受檢人士必須留在處所內,以減少交叉感染的風險。政府會為行動有特別困難的人士安排上門採樣。
政府發言人說:「我們明白今次安排會為市民帶來不便。政府已安排盡快為『受限區域』內所有受檢人士進行檢測,目標是爭取於明日下午約一時完成行動,為所有已識別的受檢人士完成檢測並確定結果。在正式撤銷『相關宣告』時,政府會另行公布。若有僱員因宣告而未能上班,政府希望僱主能酌情處理,不要扣減員工的薪金和福利。」

贊助商連結
香港商報2023-03-20
香港商報2023-03-20
香港商報2023-03-20
香港商報2023-03-20