香港商報
-- 天氣
颱風「蘇拉」或登陸粵東 廣東多地預警信號生效

颱風「蘇拉」或登陸粵東 廣東多地預警信號生效

責任編輯:朱劍明 2023-08-30 17:05:06 來源:中國新聞網

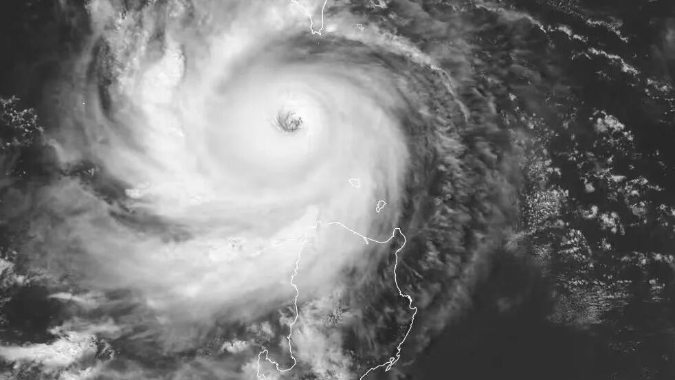
 中新社廣州8月30日電 今年第9號颱風「蘇拉」(超強颱風級)中心8月30日11時在距離廣東汕尾東南方向約570公里的巴士海峽海面上,中心附近最大風力17級以上。

 廣東省氣象部門預計,「蘇拉」或於9月1日白天在粵東沿海地區登陸。

 廣東省氣象部門表示,雖然「蘇拉」後期路徑仍存在不確定性,但其對珠江口以東海域及沿海地區的影響是明確的,需及時做好防禦準備。截至8月30日上午11時,粵東部分沿海地區已升級颱風預警信號,其中,饒平、澄海、南澳、汕頭、潮陽等地已升級颱風預警信號至藍色;潮州、揭陽、揭西、普寧、惠來、陸豐、海豐、陸河、汕尾等地颱風白色預警信號生效中。隨着「蘇拉」進一步趨近,不排除廣東各地繼續發布或調整颱風預警信號。

 氣象專家表示,「蘇拉」將以10公里左右的時速向西北方向移動,較大可能於9月1日白天在粵東沿海地區登陸(強颱風級,15級左右),也有可能在廣東東部近岸海面向西偏南方向移動,強度緩慢減弱。

 廣東省氣象局分析稱,隨着「蘇拉」的趨近,風雨天氣對廣東的影響將從海上逐漸延伸至陸地。預計8月31日夜間至9月3日,粵東市縣、梅州南部、河源南部和珠江三角洲南部市縣有暴雨到大暴雨、局部特大暴雨,其餘市縣有雷陣雨、局部暴雨。

 氣象專家指出,「蘇拉」具有「個頭小、強度強」的特點,其影響期間,巴士海峽、台灣海峽、南海東北部海面、廣東海面的風力將明顯加大,請過往船隻、海上旅遊、海洋牧場和海上風電等需做好防禦,及時回港避風。海島、濱海旅遊及水上遊玩項目需關停。沿海市縣需做好戶外廣告牌、道路綠化樹木等的防風加固工作。(中新社記者 王堅)

責任編輯:朱劍明 颱風「蘇拉」或登陸粵東 廣東多地預警信號生效
香港商報PDF

友情鏈接

承印人、出版人:香港商報有限公司 地址:香港九龍觀塘道332號香港商報大廈 香港商報有限公司版權所有,未經授權,不得複製或轉載。 Copyright © All Rights Reserved
聯絡我們

電話:(香港)852-2564 0768

(深圳)86-755-83518792 83518734 83518291

地址:香港九龍觀塘道332號香港商報大廈