政府今日(3月1日)公布,公開招標出售位於新九龍內地段第6639號(即九龍九龍灣啟福道第8號)用地作電動車快速充電站,5月10日截標。政府同時公布電動的士和電動公共小型巴士(小巴)在指定電動車快速充電站充電的上限價格及調整機制。
環境及生態局發言人表示,為推動車輛綠色轉型,並在2050年前達致車輛零排放及碳中和的目標,政府已宣布在2035年或以前停止新登記燃油私家車(包括混合動力車)。為配合電動車持續增長帶來的充電需求,政府正加快擴展快速充電網絡供不同類型的電動車(包括商用電動車)充電。政府已完成兩幅分別位於九龍東及新界東的空置油站用地轉型至快速充電站的可行性研究,並會以公開招標形式分階段出售該兩幅用地。,
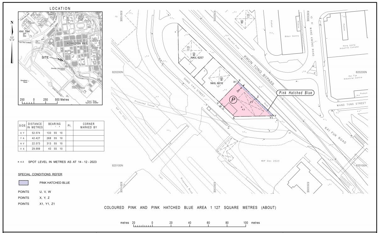
是次出售的新九龍內地段第6639號地盤面積約為1127平方米,指定作電動車快速充電站用途。該幅土地的賣地文件,包括投標表格、招標公告、賣地條件及賣地圖則,已上載至地政總署網頁(www.landsd.gov.hk)供公眾人士下載;賣地圖則會由即日起至截標前供公眾人士查閱。公眾亦可於即日起至截標前到香港北角渣華道333號北角政府合署6樓地政總署測繪處購買賣地圖則印刷本。招標詳情亦已於今日刊憲。

發言人解釋,為鼓勵的士及小巴車主加快轉型至電動的士及電動小巴,參考現時專用石油氣加氣站的安排,各指定快速充電站將對電動的士及電動小巴設立充電上限價格機制,指定快速充電站的運營商將不能向電動的士及電動小巴收取高於環境保護署(環保署)每月公布的充電上限價格。其他電動車的充電價格則由市場釐定。
充電上限價格詳情將於指定快速充電站投入運作後,在環保署網站(www.epd.gov.hk)及手機應用程式「EV充電易」定期公布。此外,充電上限價格詳情亦會張貼於各指定快速充電站,方便業界監察指定快速充電站價格的變動。(資料圖)