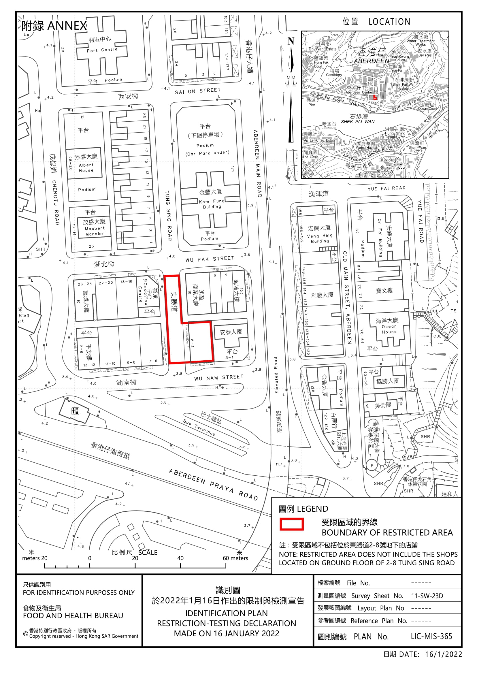
政府今日(16日)宣布由下午7時起限制在香港仔指明「受限區域」—香港仔東勝道2至4號,不包括東勝道2至8號地下店舖內的人士須留在其處所並接受強制檢測,政府目標是在明日(17日)上午約6時30分完成行動。
政府發言人表示由於今日(16日)發現1宗曾在上址居住的初步陽性檢測個案,初步顯示涉及變異病毒株,經評估後相關區域感染風險有機會較高,政府經檢測呈陽性後決定就相關區域作出限制與檢測宣告。
政府將於「受限區域」內設立臨時採樣站並要求受檢人士於今晚10時前接受檢測。受檢人士會獲安排到採樣站接受核酸測試,由專人以咽喉和鼻腔合併拭子採樣。在所有人士有檢測結果前,受檢人士必須留在處所內,以減少交叉感染的風險。政府會為行動不便的人士和長者安排上門採樣。








香港仔東勝道2-4號圍封情況。(崔俊良攝)


