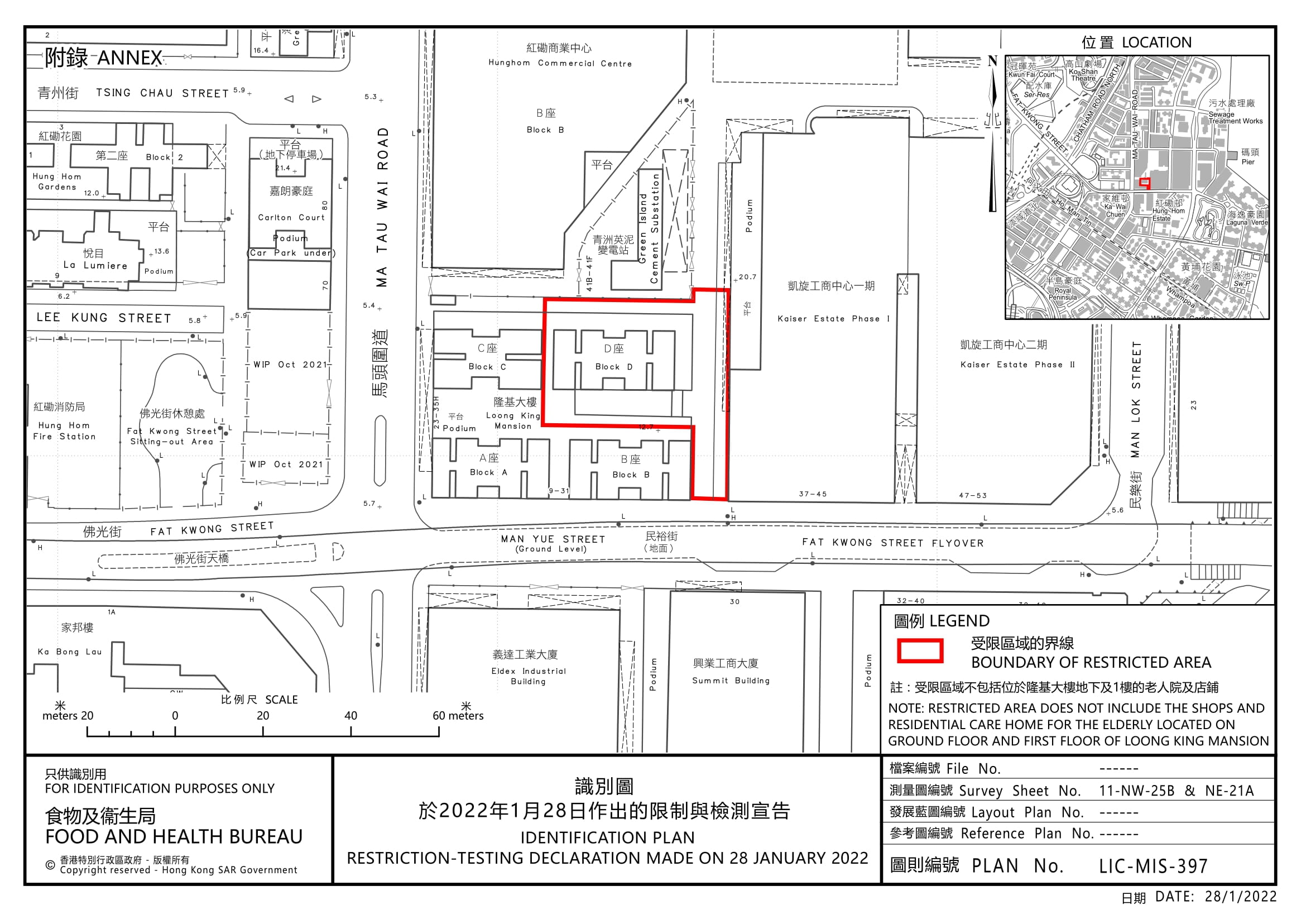
政府今日(28日)由下午7時30分起將紅磡馬頭圍道23至35H號及民裕街9至31號隆基大樓D座,不包括隆基大樓地下及1樓的老人院及店舖指明為「受限區域」,受檢人士須在其處所等候,直至「受限區域」內所有已識別的受檢人士完成檢測,而相關檢測結果亦已獲大致確定,方可離開其處所。政府目標是在明日(29日)上午約7時完成行動。
政府發言人指由於今日(28日)發現1宗曾在上址居住的陽性檢測個案涉及變異病毒株,經評估後相關區域感染風險有機會較高,政府決定就相關區域作出限制與檢測宣告。
政府將於「受限區域」內設立臨時採樣站並要求受檢人士於今晚11時前接受檢測,任何於本月21至28日曾身處上述大廈內超過2小時的人士,即使在「相關宣告」開始生效時不在「受限區域」內,亦須在後日(30日)或之前接受強制檢測。







(圖說:上圖為馬頭圍道隆基大樓D座圍封強檢現場情況;馮瀚文攝)


